Currenlty listing 1,357 upcoming property auctions in the UK

Land
Address
See address
Auction date
29 Jan 2026
Guide price
£16,500
Type
Land
Tenure
Freehold
EPC Rating
Unknown
Status
Ended

Description
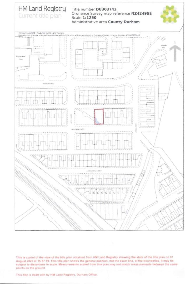
This is an area of freehold open grassed land situated within the original Frederick Street Terrace, appropriate for various uses with the requisite planning permission. It has a site area of 470sqm and boasts a return frontage to Maria Street, benefiting from a location close to the Town Centre and sea front facilities.
The land will be sold as open/garden land, with a Restrictive Covenant that limits usage to garden or garage associated buildings, prohibiting any commercial applications. Potential beneficial development is possible subject to obtaining a formal release from the Restrictive Covenant alongside an appropriate financial consideration.
Details provided by Kimmitt & Roberts.
EPC rating: N/A
Council Tax Band: N/A
Tenure: Freehold
For Sale By Auction www.agentspropertyauction.com LIVE ONLINE AUCTION 29 January 2026 OPTION 1
Last update: 24 Dec 2025



